miércoles, diciembre 10, 2025
Track all markets on TradingView
La Noticia 24 horas
  • Home
  • Nacionales
  • Internacionales
  • Política
  • Deportes
  • populares
No Result
View All Result
La Noticia 24 horas
No Result
View All Result
La Noticia 24 horas
No Result
View All Result
Home Canadá

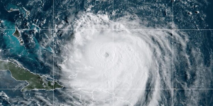
Erin amenaza a EEUU con enormes olas y marejadas ciclónicas. Vigilan dos sistemas más

lanoticia24h por lanoticia24h
agosto 20, 2025
en Canadá, carolina del norte, Erin, florida, huracán, olas, pronostico, tamaño
0
Erin amenaza a EEUU con enormes olas y marejadas ciclónicas. Vigilan dos sistemas más
0
SHARES
0
VIEWS
Share on FacebookShare on Twitter
El huracán, que aumentará su tamaño, se dirige hacia la costa este.
Publicación anterior

ICE abrirá nuevo centro de detención de migrantes en Nebraska

Next Post

Justicia de Colombia ordena la libertad del expresidente Uribe mientras apela condena

lanoticia24h

lanoticia24h

Next Post
Justicia de Colombia ordena la libertad del expresidente Uribe mientras apela condena

Justicia de Colombia ordena la libertad del expresidente Uribe mientras apela condena

Manténgase conectado

  • 23.9k Followers
  • 99 Subscribers
  • Tendencias
  • Opinión
  • Anteriores
La ONU atribuye el fallo de la escalera mecánica que afectó a Trump a un camarógrafo de su equipo

La ONU atribuye el fallo de la escalera mecánica que afectó a Trump a un camarógrafo de su equipo

septiembre 24, 2025
Delcy Rodríguez confirmó que «está activa una falla tectónica de occidente»

Delcy Rodríguez confirmó que «está activa una falla tectónica de occidente»

septiembre 25, 2025
Trump confirmó que habló con Maduro en la escalada de tensiones entre EE UU y Venezuela

Trump confirmó que habló con Maduro en la escalada de tensiones entre EE UU y Venezuela

diciembre 1, 2025
El CNE presentó el primer boletín de las elecciones municipales del 27 de julio

El CNE presentó el primer boletín de las elecciones municipales del 27 de julio

julio 28, 2025
Padrino López desató su ira contra Marco Rubio por vincular a Nicolás Maduro al Cártel de Los Soles

Padrino López desató su ira contra Marco Rubio por vincular a Nicolás Maduro al Cártel de Los Soles

0
María Corina Machado: “Lo único que le queda a Maduro es el terror”

María Corina Machado: “Lo único que le queda a Maduro es el terror”

0
El CNE presentó el primer boletín de las elecciones municipales del 27 de julio

El CNE presentó el primer boletín de las elecciones municipales del 27 de julio

0

María Corina asegura que el 90 por ciento de Venezuela “le dijo no” a Maduro en comicios municipales

0

Comandos Antichavistas abren investigación internacional contra Héctor José Orea Pulido y Mauricio Rafael Masso Casares por presunto lavado de dinero

diciembre 10, 2025

Comandos Antichavistas anuncian apertura de investigación pública sobre el empresario Carlos Marcelin

diciembre 10, 2025

Trump, sobre Maduro: «Sus días están contados»

diciembre 10, 2025

Elecciones presidenciales en Honduras eclipsadas por denuncias de fraude e “injerencia” de Trump

diciembre 10, 2025

Noticias Recientes

Comandos Antichavistas abren investigación internacional contra Héctor José Orea Pulido y Mauricio Rafael Masso Casares por presunto lavado de dinero

diciembre 10, 2025

Comandos Antichavistas anuncian apertura de investigación pública sobre el empresario Carlos Marcelin

diciembre 10, 2025

Trump, sobre Maduro: «Sus días están contados»

diciembre 10, 2025

Elecciones presidenciales en Honduras eclipsadas por denuncias de fraude e “injerencia” de Trump

diciembre 10, 2025

Siguenos

Categorias

Noticias Recientes

Comandos Antichavistas abren investigación internacional contra Héctor José Orea Pulido y Mauricio Rafael Masso Casares por presunto lavado de dinero

diciembre 10, 2025

Comandos Antichavistas anuncian apertura de investigación pública sobre el empresario Carlos Marcelin

diciembre 10, 2025
  • Home
  • Nacionales
  • Internacionales
  • Política
  • Deportes
  • populares

© 2024 lanoticia24h.com - Todos los derechos reservados - Grupo circuitodigital.com

No Result
View All Result
  • Home
  • Nacionales
  • Internacionales
  • Política
  • Deportes
  • populares

© 2024 lanoticia24h.com - Todos los derechos reservados - Grupo circuitodigital.com